W związku z koniecznością prowadzenia kolejnego etapu związanego z przebudową ulicy Krasickiego w Radomsku, na odcinku od ul. Kościuszki do ul. 11 Listopada, od dnia 12 kwietnia zmienia się organizacja ruchu na tej ulicy.
Ulica będzie etapami wyłączana z ruchu kołowego z jednoczesnym zapewnieniem bezpiecznego dojazdu do wszystkich firm skomunikowanych z tym fragmentem ulicy Krasickiego.
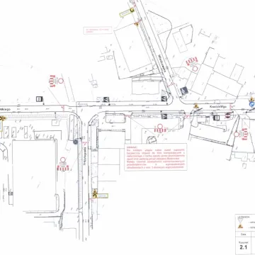
I etap
Pierwszy etap wyłączenia z ruchu kołowego (od 12 kwietnia) będzie dotyczył odcinka ulicy od skrzyżowania z ulicą 11 Listopada do przystanku autobusowego zlokalizowanego przy supermarkecie spożywczym. Zamknięte zostanie skrzyżowanie z ulicą 11 Listopada, skrzyżowanie z ulicą Młodzowską oraz m.in. zjazd do supermarketu zlokalizowany naprzeciw ulicy Młodzowskiej. W tym czasie wszystkie firmy będą mogły skorzystać z parkingu supermarketu i drugiego zjazdu z parkingu stanowiącego dojazd do ulicy Krasickiego.
Dokończenie przebudowy I etapu potrwa około 1 miesiąca po czym zostanie on udostępniony dla dwukierunkowego ruchu kołowego.
II etap
Drugi etap wyłączenia z ruchu kołowego będzie dotyczył kolejnego odcinka ulicy tj. od przystanku autobusowego zlokalizowanego przy supermarkecie spożywczym do ulicy Kościuszki. W tym czasie zostanie zamknięte skrzyżowanie z ulicą Sadową oraz z ulicą Sierakowskiego i Kościuszki. W tym etapie dojazd do wszystkich firm będzie odbywał się już po przebudowanym zjeździe znajdującym się na wprost ulicy Młodzowskiej.
- Wprowadzenie zmian w organizacji ruchu ma na celu przyspieszenie ukończenia całej inwestycji oraz przede wszystkim zapewnienie większego bezpieczeństwa dla pracowników realizujących przebudowę drogi oraz korzystających z niej użytkowników ruchu - czytamy w komunikacie Starostwa Powiatowego w Radomsku.





