W najbliższy wtorek 7 listopada w Radomsku na DK91 (ul. Narutowicza) rozpoczynają się prace związane z budową chodnika i ciągu pieszo–rowerowego. Wszystko zakończy się jesienią 2024 roku.
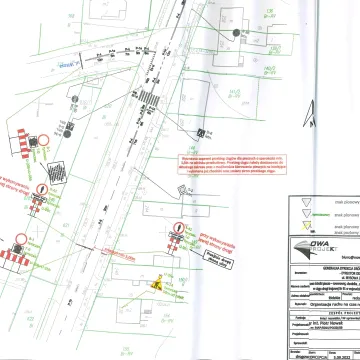
Prace, o których mowa mają na celu poprawę bezpieczeństwa mieszkańców poprzez ułatwienie komunikacji pieszej i rowerowej. Pracami objęty zostanie odcinek trasy o długości ok. 1,8 km między rondem (u zbiegu z u obwodnicą miasta) i ul. Witosa.
- Jadąc w kierunku centrum Radomska po prawej stronie drogi powstanie chodnik, który będzie miał 2 metry szerokości, zaś po drugiej stronie drogi zostanie wybudowany ciąg pieszo–rowerowy o szerokości 3 metrów. W ramach przedsięwzięcia na tym odcinku trasy pojawią się także cztery zatoki autobusowe wraz z dojściami - wyjaśnia naszemu portalowi Maciej Zalewski, rzecznik GDDKiA w Łodzi.
Zalewski dodaje, że przebudowane zostaną ponadto skrzyżowania z drogami poprzecznymi. Niezależnie od tego wybudowane będzie oświetlenie na sześciu przejściach dla pieszych, a także oświetlenie uliczne. Powstanie także kanał technologiczny (dla sieci cyfrowych) oraz kanalizacja deszczowa.
Dodatkowo przy okazji realizacji naszej inwestycji miasto będzie budowało na tym odcinku kanalizację sanitarną.
- Prace, które ruszą w przyszłym tygodniu, będą wymagały dość istotnych zmian w organizacji ruchu. Ulica Narutowicza – DK91 zostanie zamknięta na odcinku od ronda (u zbiegu z obwodnicą) do ul. Witosa. Zakaz nie będzie jednak dotyczył pojazdów komunikacji zbiorowej i dojazdów do posesji – przekazał rzecznik.
Objazdy
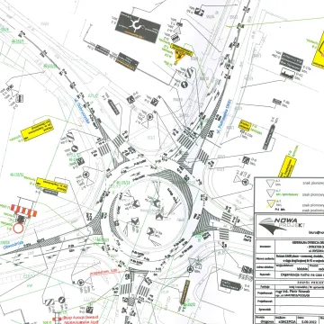
Jadący DK91 od strony Piotrkowa Trybunalskiego w kierunku Częstochowy kierowcy będą musieli dojechać do obwodnicy miasta, skręcić na rondzie w prawo i dojechać nią do ul. Brzeźnickiej DK42, którą powrócą do centrum i dalej będą mogli kontynuować podróż DK91. Analogicznie w przeciwnym kierunku (w galerii zdjęć).
Z kolei podążający DK42 (ul. Brzeźnicką) od strony Pajęczna w kierunku Końskich muszą zjechać na obwodnicę miasta, dojechać do ronda u zbiegu z DK91 (oraz ulicami Dobryszycką i Sikorskiego) i tą ostatnią dotrzeć do DK42, którą będą mogli kontynuować podróż w kierunku wschodnim. W przeciwnym kierunku korzystamy z tej samej trasy.
Tymczasowa organizacja ruchu (TOR) będzie się zmieniała zależnie od etapu prowadzonych prac, o czym GDDKiA będzie informować na bieżąco. Wprowadzenie I etapu TOR nastąpi, jak nadmieniono wcześniej, we wtorek ok. godz. 9.00.
Prace będą trwały do końca jesieni przyszłego roku. W pierwszym etapie powstanie odwodnienie deszczowe, kanał technologiczny i przeprowadzona będzie wycinka drzew. Pozostałe prace ruszą wiosną.
Inwestycja realizowana jest w ramach programu Poprawy Ochrony Zdrowia Pieszych i Rowerzystów. Koszt przedsięwzięcia to blisko 11,5 mln. zł. (Nie obejmuje budowy oświetlenia ulicznego, który leży po stronie gminy).
Rzecznik GDDKiA apeluje do kierowców, aby odcinek między Kamieńskiem i Radomskiem pokonywali autostradą A1, unikną wówczas przymusowych postojów i opóźnień w podróży.





