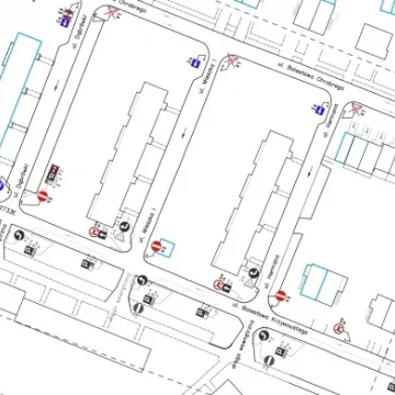
W piątek 18 września 2020 r. zostanie wprowadzona zmiana stałej organizacji ruchu z dwukierunkowego na ruch jednokierunkowy na ul. Mieszka I i ul. Władysława Hermana oraz zmiana kierunku ruchu jednokierunkowego na ul. Dąbrówki w Radomsku.
W związku ze zmianami zmianie ulegnie oznakowanie pionowe w obrębie wyżej wymienionych dróg. Od strony ul. Bolesława Krzywoustego zamontowane zostaną znaki B-2 (zakaz wjazdu), B-22 (zakaz skrętu w prawo). Natomiast do strony ul. Bolesława Chrobrego zamontowane zostaną znaki D-3 (droga jednokierunkowa) przy skrzyżowaniu z ul. Dąbrówki, ul. Mieszka 1 i ul. Hermana.





